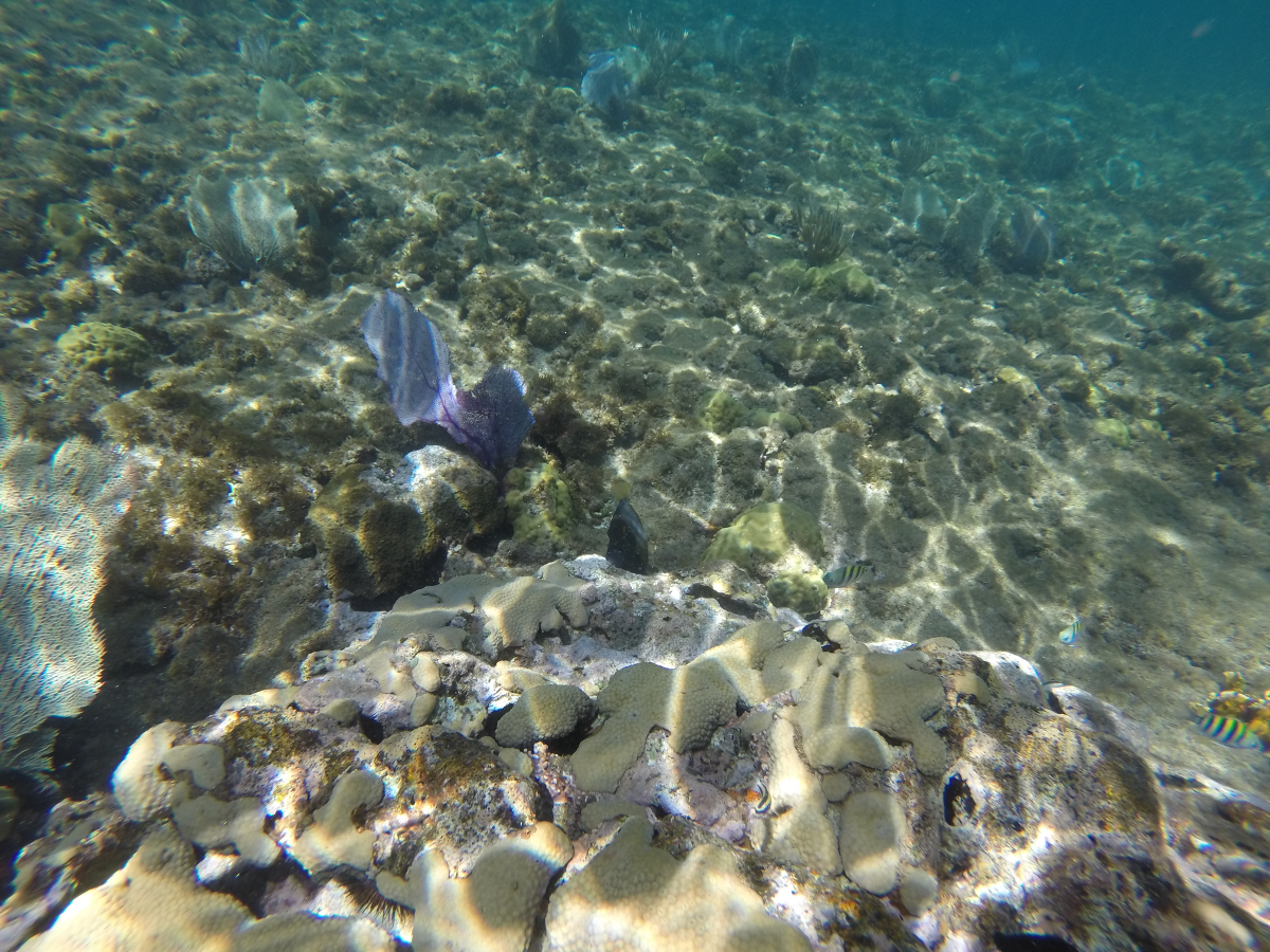
Explore the reef at the Tres Palmas Marine Reserve in Rincon, Puerto Rico with our GoPro as we take you below the surface. The family went snorkeling with the crew from the Katarina and enjoyed viewing all the sea life that was very active on the reef, some schools of fish swimming in the warm waters, and lots of amazing fan coral.
Spring Break 2015: Snorkeling at Tres Palmas Marine Reserve
Leave a reply



























